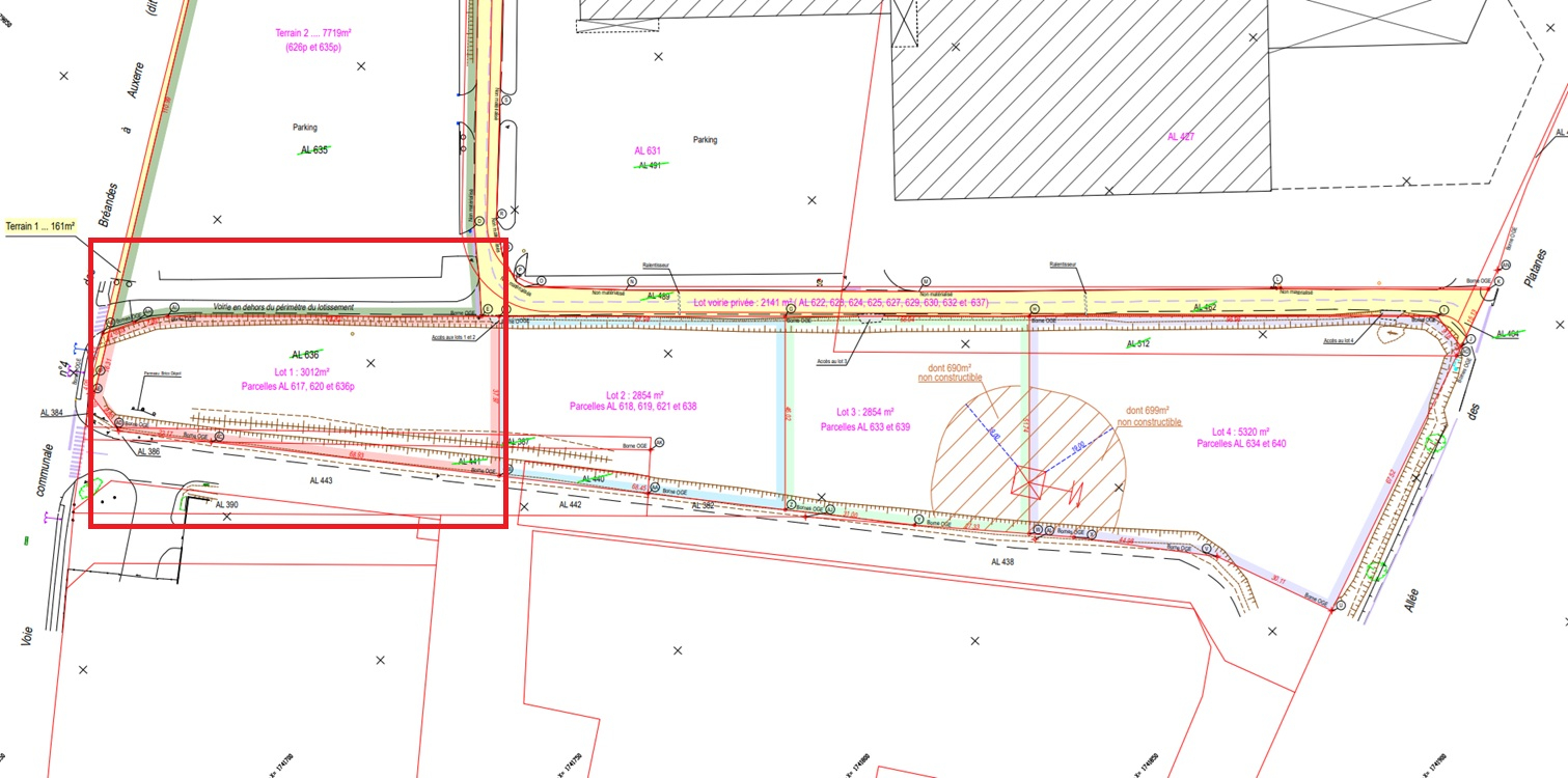
ZONE COMMERCIALE PERRIGNY AUXERRE - TERRAIN CONSTRUCTIBLE DE 3012M²

Réf. 928a22c7 | Publiée le 04/11/2025 par GROUPE ORDIM - ORDIM AUXERRE | Mise à jour le 21/11/2025 | Visiteurs : 03
Photo ZONE COMMERCIALE PERRIGNY AUXERRE - TERRAIN CONSTRUCTIBLE DE 3012M² image 1/6
  • Prix
    488 000.00 €
  • Pays / Région
    France, Bourgogne, Yonne
  • Ville / Code postal
    Auxerre - 89000
  • Surface
    3012 m²

ZONE COMMERCIALE PERRIGNY AUXERRE - TERRAIN CONSTRUCTIBLE DE 3012M² ZONE BRICO DEPOT - GIFI - GRAND FRAIS - MARIE BLACHERE - BUT Parcelle de 3012m² Dossier complet sur demande

 Faire suivre l'annonce
 Ajouter aux favoris
 Signaler l'annonce

Contacter l'annonceur par mail

Envoyer à
GROUPE ORDIM - ORDIM AUXERRE
Objet
Re: ZONE COMMERCIALE PERRIGNY AUXERRE - TERRAIN CONSTRUCTIBLE DE 3012M²
GROUPE ORDIM - ORDIM AUXERRE professionnel inscrit le 12/02/2024
Contacter par mail
Afficher le téléphone