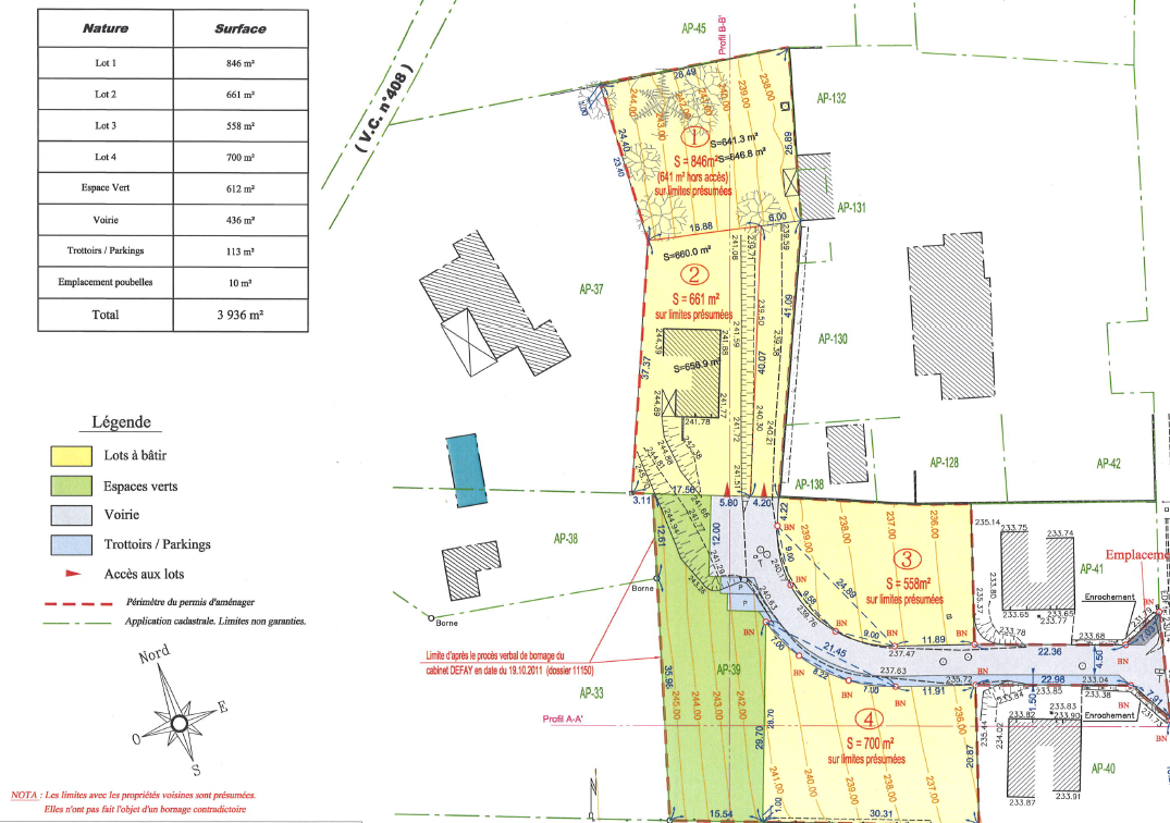
LIERGUES -- Terrain à bâtir viabilisé de 558 m²

Réf. 24e2db44 | Publiée le 06/12/2024 par SÉLECTION IMMOBILIER - SÉLECTION IMMOBILIER Liergues | Mise à jour le 07/11/2025 | Visiteurs : 01
Photo LIERGUES -- Terrain à bâtir viabilisé de 558 m² image 1/3
  • Prix
    150 000.00 €
  • Pays / Région
    France, Rhône-Alpes, Rhône
  • Ville / Code postal
    Liergues - 69400
  • Surface
    558 m²

EXCLUSIVITE Situé à proximité du centre du village, des transports et des écoles, découvrez ce beau terrain à bâtir (Lot 3) avec vue dégagée, dans un petit lotissement de 4 lots. Ce terrain permettra la construction d'une maison avec garage, d'une surface de plancher maximale de 250 m². Ce terrain n'est pas situé en zone protégée ou classée, ce qui laissera libre cours à vos projets architecturaux. Vous avez aussi le choix de votre constructeur. A découvrir avec SELECTION IMMOBILIER Beaujolais 04x74x02x60x00 Votre interlocutrice Delphine JOLY

 Faire suivre l'annonce
 Ajouter aux favoris
 Signaler l'annonce

Contacter l'annonceur par mail

Envoyer à
SÉLECTION IMMOBILIER - SÉLECTION IMMOBILIER Liergues
Objet
Re: LIERGUES -- Terrain à bâtir viabilisé de 558 m²
SÉLECTION IMMOBILIER - SÉLECTION IMMOBILIER Liergues professionnel inscrit le 29/09/2020
Contacter par mail
Afficher le téléphone